• خبرگزاری آریافارسی
    • Arya News AgencyEnglish
    • Arya News Agencyالعربیه
خبرگزاری آریا
يکشنبه ۱۶ آذر ۱۴۰۴
Sunday, December 7, 2025
  • صفحه اصلی
  • سياسي
      • رهبري
      • دولت
      • قوه مقننه
      • قوه قضائيه
      • احزاب و تشکل ها
      • امنيتي و دفاعي
      • انرژي هسته اي
      • نماز جمعه
      • انتخابات
      • سیاست خارجی ایران
  • اقتصادی
      • کشاورزي
      • صنعت و معدن
      • بازرگاني و اصناف
      • بانک، بيمه و بورس
      • انرژي و نيرو
      • مسکن و راه
      • بازار
      • اقتصاد کلان
      • ارتباطات
      • کار
      • اقتصاد جهاني
      • بیمه دی
  • اجتماعی
      • شهري و رفاهي
      • بهداشت و درمان
      • زنان و جوانان
      • حوادث
      • انتظامي و قضائي
      • محيط زيست
      • گردشگري و ميراث فرهنگي
      • موسسه توانبخشی ولیعصر (عج)
      • حمل و نقل و ترافيک
      • بنیاد شهید و امور ایثارگران
  • بین الملل
      • آمريکا
      • اروپا
      • آفريقا
      • آسيا و اقيانوسيه
      • خاورميانه
  • ورزشی
      • فوتبال و فوتسال
      • کشتی و وزنه برداری
      • والیبال و بستکبال
      • ورزشهاي رزمي
      • ورزش بانوان
      • پایه ، آبی و سایر ورزش ها
  • تحلیل آریا
    • علمی، فرهنگی و هنری
        • مذهبی و حوزه
        • شعر و ادب
        • کتاب
        • فناوري اطلاعات
        • پزشکي
        • نوآوري ها
        • دانش آموزي و دانشجويي
        • تئاتر و سینما
        • موسیقی
        • رسانه و مطبوعات
        • قرآن و عترت
    • استانها
        • اردبیل
        • گيلان
        • مازندران
        • گلستان
        • خراسان شمالي
        • سمنان
        • تهران
        • قزوين
        • خوزستان
        • بوشهر
        • فارس
        • هرمزگان
        • خراسان رضوي
        • خراسان جنوبي
        • سيستان و بلوچستان
        • کرمان
        • آذربايجان شرقي
        • آذربايجان غربي
        • کرمانشاه
        • ايلام
        • کردستان
        • همدان
        • لرستان
        • كهگيلويه و بوير احمد
        • زنجان
        • اصفهان
        • چهارمحال بختياري
        • يزد
        • قم
        • مرکزي
        • البرز
    • پادکست
      • اینفوگرافی
        • گزارش گویا
          • همه اخبار
          برچسب: [کیلومتر]
          تردد روان در محورهای شمالی؛ انسداد مقطعی محور چالوس به دلیل راهداری
          تردد روان در محورهای شمالی؛ انسداد مقطعی محور چالوس به دلیل راهداری
          انتظامي و قضائي ۱۴ آذر ۱۴۰۴ - ۱۰:۱۰:۴۹ ق.ظ
          خبرگزاری آریا - مرکز مدیریت راه‌های کشور اعلام کرد: امروز جمعه چهاردهم آذرماه، تردد در اغلب محورهای شمالی کشور روان است، اما محور چالوس در محدوده کمرزرد کیلومتر 65 به دلیل اجرای عملیات راهداری تا 19 آذرماه به‌طور مقطعی مسدود است.
          ادامه مسیر سرزندگی تا 230 کیلومتر برای شهروندان پایتخت
          ادامه مسیر سرزندگی تا 230 کیلومتر برای شهروندان پایتخت
          شهري و رفاهي ۱۲ آذر ۱۴۰۴ - ۱۱:۳۶:۱۸ ب.ظ
          خبرگزاری آریا - معاون هماهنگی و امور مناطق شهرداری تهران با اشاره به اقدامات مدیریت شهری در 4 سال گذشته از جمله اجرای بزرگترین تماشاخانه پایتخت در بوستان هنرمندان خبر داد و گفت: توجه به خواست و اولویت‌های شهروندان در قالب نظام مسائل پایتخت سرلوحه اقدامات مدیریت شهری در دوره ششم بوده که این مهم منجر به توجه به حوزه برقی‌سازی در ناوگان حمل و نقل عمومی و شخصی شد.
          چین به ژاپن هشدار داد که اگر خط قرمز را به سمت تایوان عبور کند، پیامدهای «جدی» خواهد داشت
          چین به ژاپن هشدار داد که اگر خط قرمز را به سمت تایوان عبور کند، پیامدهای «جدی» خواهد داشت
          آسيا و اقيانوسيهپنجشنبه ۶ آذر ۱۴۰۴ - ۴:۲۹:۲۰ PM
          خبرگزاری آریا -وزارت دفاع چین روز پنج شنبه هشدار داد که اگر در پاسخ به برنامه های ژاپن برای استقرار موشک ها در جزیره یوناگونی، حدود 110 کیلومتر (110 مایل) از ساحل شرقی تایوان، از خط قرمز عبور کند، هزینه سنگینی متحمل خواهد شد.
          حاجی دلیگانی: هشدار نسبت به ابهام در سهمیه بنزین خودروهای صفر/حاجی بابایی: مصوبه دولت در هیأت تطبیق بررسی می شود
          حاجی دلیگانی: هشدار نسبت به ابهام در سهمیه بنزین خودروهای صفر/حاجی بابایی: مصوبه دولت در هیأت تطبیق بررسی می شود
          مجلس شوراي اسلامي ۵ آذر ۱۴۰۴ - ۱۰:۵۶:۲۱ ق.ظ
          خبرگزاری آریا - نماینده مردم شاهین شهر و میمه و برخوار در مجلس با انتقاد از نحوه تعیین سهمیه بنزین برای خودروهای صفر کیلومتر، خواستار بررسی فوری مصوبه جدید سوخت در کمیته انطباق شد و تأکید کرد اجرای نیمه‌دوم سال نباید مغایر برنامه هفتم یا موجب هزینه‌های بی‌جهت برای مردم شود.
          فوران ناگهانی آتشفشان «هارلی گوبی» اتیوپی و مدیریت موفق ترافیک هوایی منطقه با مشارکت ایران
          فوران ناگهانی آتشفشان «هارلی گوبی» اتیوپی و مدیریت موفق ترافیک هوایی منطقه با مشارکت ایران
          مسکن و راه ۵ آذر ۱۴۰۴ - ۰۹:۰۱:۳۴ ق.ظ
          خبرگزاری آریا - فوران غافلگیرکننده آتشفشان خاموش «هارلی گوبی» در اتیوپی و گسترش ابر خاکستر آن تا هزاران کیلومتر، ترافیک هوایی منطقه را تحت تأثیر قرار داد اما با تشکیل کمیته تخصصی هماهنگی بین‌منطقه‌ای و مشارکت فعال ایران، جریان پروازها در خاورمیانه و آسیا بدون اختلال جدی مدیریت شد.
          48 آتش‌نشان تهرانی در ارتفاع 2500 متری/ عملیات لوله‌کشی کیلومتری برای مهار آتش در جنگل‌های الیت
          48 آتش‌نشان تهرانی در ارتفاع 2500 متری/ عملیات لوله‌کشی کیلومتری برای مهار آتش در جنگل‌های الیت
          شهري و رفاهي ۴ آذر ۱۴۰۴ - ۱۱:۰۰:۳۳ ب.ظ
          خبرگزاری آریا - آتش‌نشانان تهران با استقرار دو شبه در ارتفاعات و اجرای لوله‌کشی گسترده، مانع سرایت آتش به بخش‌های دیگر جنگل‌های الیت مازندران شدند.
          پایان عملیات روکش آسفالت محورهای روستایی شکرآباد و مرتضی‌گرد به جعفرآباد جنگل
          پایان عملیات روکش آسفالت محورهای روستایی شکرآباد و مرتضی‌گرد به جعفرآباد جنگل
          مسکن و راه ۴ آذر ۱۴۰۴ - ۰۶:۱۱:۰۱ ب.ظ
          خبرگزاری آریا - مدیرکل راهداری و حمل‌ونقل جاده‌ای استان تهران اعلام کرد: پروژه روکش آسفالت محور شکرآباد – مرتضی‌گرد به جعفرآباد در بخش آفتاب، به طول مجموع 5 کیلومتر و با اعتباری بالغ بر 150 میلیارد ریال تکمیل و به بهره‌برداری رسید.
          مونتاژ مهمترین قطعه دومین TBM در کارگاه جنت‌آباد از خط 10؛ آغاز عملیات حفاری از  دی‌ماه/ ساخت ایستگاه‌ها با اولویت بخش غربی انجام می‌شود
          مونتاژ مهمترین قطعه دومین TBM در کارگاه جنت‌آباد از خط 10؛ آغاز عملیات حفاری از دی‌ماه/ ساخت ایستگاه‌ها با اولویت بخش غربی انجام می‌شود
          شهري و رفاهي ۲ آذر ۱۴۰۴ - ۰۶:۰۵:۳۱ ب.ظ
          خبرگزاری آریا - مجری خط ده متروی تهران با اشاره به مونتاژ قطعه کاترهد دومین دستگاه حفاری از شفت جنت‌آباد، گفت: طول مسیر حفاری این دستگاه حدود 10 کیلومتر پیش‌بینی شده است که از کارگاه جنت‌آباد شروع خواهد شد و تا نمایشگاه بین‌المللی ادامه دارد.
          حمله اوکراینی با پهپادها آتش سوزی در ایستگاه برق مسکو را به راه انداخت
          حمله اوکراینی با پهپادها آتش سوزی در ایستگاه برق مسکو را به راه انداخت
          اروپايکشنبه ۲ آذر ۱۴۰۴ - ۲:۱۹:۵۴ PM
          خبرگزاری آریا -استاندار منطقه مسکو، آندریه ورابیوف، امروز یکشنبه اعلام کرد که پهپادهای اوکراینی به نیروگاه شاتورا برای تولید برق و گرما که در حدود 120 کیلومتری شرق کرملین واقع شده است، حمله کرده‌اند که منجر به آتش‌سوزی و مجبور شدن مقامات به راه‌اندازی انرژی پشتیبان و استقرار واحدهای گرمایشی سیار شد.
          نوسازی بیش از 3 کیلومتر شبکه برق بالاسری خط 5 مترو بدون اختلال در سرویس‌دهی
          نوسازی بیش از 3 کیلومتر شبکه برق بالاسری خط 5 مترو بدون اختلال در سرویس‌دهی
          شهري و رفاهي ۱ آذر ۱۴۰۴ - ۰۶:۰۲:۴۵ ب.ظ
          خبرگزاری آریا - سرپرست مدیریت ارشد خط پنج، از ادامه برنامه نوسازی شبکه برق بالاسری خط پنج مترو که پیش‌تر آغاز آن اطلاع‌رسانی شده بود، خبر داد وگفت: شرکت بهره‌برداری متروی تهران و حومه موفق شد بخش دیگری از این پروژه را بدون ایجاد اختلال در سرویس‌دهی قطارها به‌طور کامل به‌روزرسانی و تقویت کند.
          ادامه عملیات بهسازی و روکش آسفالت محور شهربابک–سیرجان
          ادامه عملیات بهسازی و روکش آسفالت محور شهربابک–سیرجان
          کرمان ۱ آذر ۱۴۰۴ - ۰۸:۵۷:۵۲ ق.ظ
          خبرگزاری آریا - مدیرکل راهداری و حمل‌ونقل جاده‌ای استان کرمان از ادامه عملیات پروژه بهسازی و روکش آسفالت محور شهربابک–سیرجان به طول 110 کیلومتر خبر داد.
          حرکتی برای روان‌سازی ترافیک ارومیه؛ کنارگذر شرقی در مرحله اخذ مجوزهای اجرایی
          حرکتی برای روان‌سازی ترافیک ارومیه؛ کنارگذر شرقی در مرحله اخذ مجوزهای اجرایی
          آذربايجان غربي ۲۲ آبان ۱۴۰۴ - ۰۷:۳۱:۳۴ ب.ظ
          خبرگزاری آریا - مدیرکل راه و شهرسازی آذربایجان غربی گفت: طرح کنارگذر شرقی شهر ارومیه 76 کیلومتر بود و مطالعات این طرح انجام شده و در مرحله اخذ مجوزهای اجرایی از جمله زیست محیطی، پدافند غیرعامل و ماده 23 است تا بعد از این مجوزها روند پیمان سپاری آغاز شود.
          تحقق زودهنگام برنامه سالانه روکش آسفالت تقویتی شبکه راه‌های کشور
          تحقق زودهنگام برنامه سالانه روکش آسفالت تقویتی شبکه راه‌های کشور
          مسکن و راه ۲۲ آبان ۱۴۰۴ - ۰۷:۲۸:۳۰ ب.ظ
          خبرگزاری آریا - مدیرکل دفتر نگهداری رویه و ابنیه فنی راه سازمان راهداری و حمل‌ونقل جاده‌ای، گفت: از ابتدای سال تا پایان مهرماه سال جاری، 4828 کیلومتر روکش آسفالت تقویتی در سطح راه‌ها اجرا شده و از هدفگذاری سالانه 4500 کیلومتر پیشی گرفته است.
          طول بزرگراه‌های در حال احداث کشور به 7800 کیلومتر رسید/بیش از 16 هزار و 500 میلیارد تومان اعتبار برای پروژه‌های راه، بزرگراه و راه آهن کردستان
          طول بزرگراه‌های در حال احداث کشور به 7800 کیلومتر رسید/بیش از 16 هزار و 500 میلیارد تومان اعتبار برای پروژه‌های راه، بزرگراه و راه آهن کردستان
          مسکن و راه ۲۲ آبان ۱۴۰۴ - ۱۲:۰۱:۳۵ ب.ظ
          خبرگزاری آریا - مدیرعامل شرکت ساخت و توسعه زیربناهای حمل‌ونقل کشور با بیان اینکه پروژه‌های در دست اجرای شرکت ساخت و توسعه در استان کردستان در حوزه‌های راه، بزرگراه و راه‌آهن، بیش از 16 هزار و 500 میلیارد تومان اعتبار دارند، گفت: ابتدای وزارت خانم صادق 6500 کیلومتر بزرگراه در حال احداث بوده که در حال حاضر این رقم به 7800 کیلومتر رسیده است.
          افتتاح 25 کیلومتر و آغاز عملیات اجرایی 20 کیلومتر از کریدور بزرگراهی غرب کشور در کردستان
          افتتاح 25 کیلومتر و آغاز عملیات اجرایی 20 کیلومتر از کریدور بزرگراهی غرب کشور در کردستان
          مسکن و راه ۲۲ آبان ۱۴۰۴ - ۱۱:۱۵:۳۵ ق.ظ
          خبرگزاری آریا - با حضور وزیر راه و شهرسازی، استاندار کردستان، نمایندگان مردم استان در مجلس شورای اسلامی و معاونان وزارت راه و شهرسازی، 25 کیلومتر از قطعات ششم و نهم کریدور بزرگراهی غرب کشور در استان کردستان افتتاح و عملیات اجرایی 20 کیلومتر دیگر از قطعه هشتم این مسیر آغاز شد.
          انسداد 210 کیلومتر از مرزهای کشور
          انسداد 210 کیلومتر از مرزهای کشور
          دولت ۱۹ آبان ۱۴۰۴ - ۰۶:۳۰:۴۲ ب.ظ
          خبرگزاری آریا - وزیر کشور گفت: از مرزهای شمال‌شرق و جنوب‌شرق بازدید داشته‌ام. در مجموع تاکنون 210 کیلومتر به‌صورت یکپارچه انسداد صورت گرفته است.
          انتخابات تمام الکترونیک براساس زمانبندی برنامه هفتم در حال انجام است
          انتخابات تمام الکترونیک براساس زمانبندی برنامه هفتم در حال انجام است
          دولت ۱۹ آبان ۱۴۰۴ - ۰۴:۰۷:۳۴ ب.ظ
          خبرگزاری آریا - وزیر کشور با بیان اینکه با تلاش تمامی دستگاه ها شاخص های امنیتی ما در اکثر موارد در کل کشور، نسبت به سال گذشته بهبود قابل توجه ای داشته است، گفت: انتخابات تمام الکترونیک براساس زمانبندی برنامه هفتم در حال انجام است و 14 واگن تا پایان سال تأمین و به شهرهای مربوطه واگذار خواهد شد و همچنین انسداد 210 کیلومتر مرز و خروج بیش از یک و نیم میلیون تبعه خارجی از کشور در سال جاری انجام شده است.
          منابع مالی آب در 4 سال گذشته بیش از 120 برابر افزایش پیدا کرده است/ لوله‌گذاری بیش از 128 کیلومتر برای انتقال پساب
          منابع مالی آب در 4 سال گذشته بیش از 120 برابر افزایش پیدا کرده است/ لوله‌گذاری بیش از 128 کیلومتر برای انتقال پساب
          شهري و رفاهي ۱۸ آبان ۱۴۰۴ - ۱۱:۲۰:۱۹ ق.ظ
          خبرگزاری آریا - رئیس کمیسیون سلامت، محیط زیست و خدمات شهری شورای اسلامی شهر تهران با بیان اینکه طرح جامع آب خام برای فضای سبز پایتخت را روز سه‌شنبه نهایی خواهیم کرد، گفت: منابع مالی حوزه آب در شهرداری تهران طی چهار سال گذشته بیش از 120 برابر افزایش پیدا کرده و تلاش کردیم مخازن را افزایش دهیم و تصفیه خانه‌های محلی را راه‌اندازی کنیم.
          نخستین قطار از روسیه وارد بندر خشک آپرین شد
          نخستین قطار از روسیه وارد بندر خشک آپرین شد
          مسکن و راه ۱۷ آبان ۱۴۰۴ - ۰۴:۴۳:۳۱ ب.ظ
          خبرگزاری آریا - نخستین قطار از روسیه با پیمایش مسیر 6500 کیلومتری پس از 10 روز وارد بندر خشک ریلی آپرین شد.
          توسعه 6 کیلومتری شبکه جمع‌آوری آب‌های سطحی پایتخت تا پایان سال
          توسعه 6 کیلومتری شبکه جمع‌آوری آب‌های سطحی پایتخت تا پایان سال
          شهري و رفاهي ۱۷ آبان ۱۴۰۴ - ۱۲:۰۴:۲۸ ب.ظ
          خبرگزاری آریا - مدیرعامل شرکت خاکریز آب گفت: تا پایان دوره ششم طول شبکه جمع‌آوری آب‌های سطحی به 22 کیلومتر و شبکه مرمت و ساماندهی به 8 کیلومتر خواهد رسید.
          فرمانده ارتش اوکراین: نیروهای ما در نزدیکی دوبروبیلیا در شرق کشور در حال پیشروی هستند
          فرمانده ارتش اوکراین: نیروهای ما در نزدیکی دوبروبیلیا در شرق کشور در حال پیشروی هستند
          اروپادوشنبه ۱۲ آبان ۱۴۰۴ - ۸:۱۱:۵۶ PM
          خبرگزاری آریا -الکساندر سیرسکی، فرمانده نظامی اوکراین روز دوشنبه گفت: «نیروهای اوکراینی در نزدیکی شهر دوبروبیلیا در شرق کشور پیشروی کردند و کنترل 188 کیلومتر مربع را که تحت کنترل نیروهای روسی بود و همچنین 250 کیلومتر مربع دیگر که تحت کنترل هیچ یک از طرفین نبود، به دست گرفتند.»
          20 کیلومتر از پروژه احداث باند دوم محور قدیم تهران قم آماده افتتاح است
          20 کیلومتر از پروژه احداث باند دوم محور قدیم تهران قم آماده افتتاح است
          مسکن و راه ۱۰ آبان ۱۴۰۴ - ۰۴:۱۰:۰۵ ب.ظ
          خبرگزاری آریا - مدیرکل راه و شهرسازی استان تهران از افتتاح 20 کیلومتر از پروژه احداث باند دوم محور قدیم تهران قم طی دو هفته آینده خبر داد.
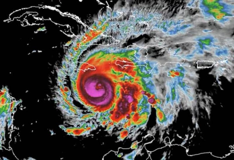
          طوفان ملیسا با وزش باد 282 کیلومتر در ساعت در راه است تا جامائیکا را درنوردد
          طوفان ملیسا با وزش باد 282 کیلومتر در ساعت در راه است تا جامائیکا را درنوردد
          آمريکاسه شنبه ۶ آبان ۱۴۰۴ - ۷:۳۷:۰۹ AM
          خبرگزاری آریا -طوفان ملیسا به آرامی به سمت جامائیکا با وزش باد 282 کیلومتر در ساعت در بعد از ظهر دوشنبه، به عنوان یک طوفان رده 5، که ممکن است خشن ترین طوفان در تاریخ جزیره در کارائیب باشد؛حرکت می کند.
          رونمایی روسیه از موشک جدید هسته‌ای + مشخصات
          رونمایی روسیه از موشک جدید هسته‌ای + مشخصات
          اروپا ۴ آبان ۱۴۰۴ - ۰۱:۳۱:۲۶ ب.ظ
          خبرگزاری آریا - رئیس ستاد کل ارتش روسیه با اشاره به آزمایش یک موشک با قابلیت حمل کلاهک هسته‌ای اظهار داشت: موشک «بوروستنیک» مسافت 14هزار کیلومتر را طی کرد و تقریباً 15 ساعت در هوا ماند.
          تجاوزگری جدید به خاک سوریه؛ نفوذ نظامیان صهیونیست به 40 کیلومتری دمشق
          تجاوزگری جدید به خاک سوریه؛ نفوذ نظامیان صهیونیست به 40 کیلومتری دمشق
          خاورميانه ۳ آبان ۱۴۰۴ - ۱۱:۳۰:۳۲ ق.ظ
          خبرگزاری آریا - منابع خبری اعلام کردند که نیروهای اسرائیلی در تجاوزگری جدید و کم سابقه به خاک سوریه به 40 کیلومتری دمشق نفوذ کردند.
          ریل‌گذاری 50 کیلومتر در یک ماه؛ رکوردی بی‌سابقه در  راه‌آهن چابهار–زاهدان
          ریل‌گذاری 50 کیلومتر در یک ماه؛ رکوردی بی‌سابقه در راه‌آهن چابهار–زاهدان
          مسکن و راه ۳ آبان ۱۴۰۴ - ۱۱:۱۰:۴۴ ق.ظ
          خبرگزاری آریا - معاون ساخت و توسعه راه‌آهن، بنادر و فرودگاه‌های شرکت ساخت گفت: راه‌آهن چابهار–زاهدان با ثبت رکورد 50 کیلومتر ریل‌گذاری در یک ماه و دستیابی به سرعت روزانه 3500 متر، فصل تازه‌ای در تاریخ توسعه ریلی کشور گشود.
          طوفانی با سرعت 104 کیلومتر بر ساعت زابل را درنوردید
          طوفانی با سرعت 104 کیلومتر بر ساعت زابل را درنوردید
          مسکن و راه ۲۴ مهر ۱۴۰۴ - ۰۵:۱۲:۱۳ ب.ظ
          خبرگزاری آریا - مدیرکل هواشناسی سیستان و بلوچستان گفت: در شبانه روز گذشته طوفانی با سرعت 104 کیلومتر بر ساعت زابل را درنوردید.
          فوران مهیب آتشفشان «لووتوبی»/ تعطیلی فرودگاه‌ها در جزیره فلورس
          فوران مهیب آتشفشان «لووتوبی»/ تعطیلی فرودگاه‌ها در جزیره فلورس
          آسيا و اقيانوسيه ۲۳ مهر ۱۴۰۴ - ۰۴:۰۰:۲۰ ب.ظ
          خبرگزاری آریا - کوه «لووتوبی لاکی-لاکی» در اندونزی اواخر شب گذشته فوران کرد و بامداد چهارشنبه با شدت بیشتری ادامه یافت. به‌طوری‌که ستون عظیم خاکستر تا 10 کیلومتر در آسمان اوج گرفت و فرودگاه‌های محلی را به تعطیلی کشاند.
          بازدید وزیر راه و شهرسازی از پروژه راه آهن رشت- آستارا/34 کیلومتر از اراضی تملک شده برای مطالعات نقشه برداری تحویل روسیه شد
          بازدید وزیر راه و شهرسازی از پروژه راه آهن رشت- آستارا/34 کیلومتر از اراضی تملک شده برای مطالعات نقشه برداری تحویل روسیه شد
          مسکن و راه ۲۲ مهر ۱۴۰۴ - ۰۳:۲۵:۰۳ ب.ظ
          خبرگزاری آریا - وزیر راه و شهرسازی به همراه معاون نخست وزیر فدراسیون روسیه و معاون نخست وزیر جمهوری آذربایجان از پایانه مرزی جدید و بزرگراه ترانزیتی آستارا بازدید کردند.
          جزییات بهره‌برداری از فاز دوم مسیر سرزندگی و افزایش آن به 100 کیلومتر تا پایان سال
          جزییات بهره‌برداری از فاز دوم مسیر سرزندگی و افزایش آن به 100 کیلومتر تا پایان سال
          شهري و رفاهي ۲۰ مهر ۱۴۰۴ - ۰۳:۰۰:۵۵ ب.ظ
          خبرگزاری آریا - معاون شهردار تهران گفت: ایجاد و توسعه شبکه یکپارچه پیاده‌راهی و وسایل نقلیه پاک به عنوان پروژه‌ اولویت‌دار مدیریت شهری، نیازمند اقدام هماهنگ مدیران شهری است.
          • اخبار بیشتر
          • نشست علني 16 آذر ماه مجلس آغاز شد
          • دانشجويان پيشروان توسعه پايدار و حافظان ميراث طبيعي هستند
          • مشکلات 14 واحد توليدي در کارگروه تسهيل توليد گيلان برطرف شد
          • دانشگاه خاستگاه آرمان‌خواهي و عدالت‌جويي در جامعه است
          • الزام دستگاه‌هاي اجرايي يزد به رعايت دقيق زمان‌بندي پروژه‌هاي مسکن
          • پيام تبريک معاون توسعه مديريت و منابع استاندار يزد به مناسبت روز حسابدار
          • بررسي روند پيشرفت و راهکارهاي تسريع در تکميل پروژه سيتي‌سنتر يزد
          • در «کرمان برفراز»، نگاه ما به استفاده از همه ظرفيت‌هاي هويتي استان است
          • طرح کدينگ سوخت؛ امروز غيرقانوني است
          • براي تکميل زنجيره ارزش فولاد استان در کنار سرمايه‌گذاران هستيم
          • نقشه اجتماعي محلات تنگستان تهيه شود
          • فرماندار گناوه: تربيت نسل جديد نيازمند همکاري همگاني است
          • فرماندار دشتي: اجراي طرح محله‌محوري در شهرستان ضروري است
          • نيازهاي صنايع استان بوشهر توسط شرکت‌هاي دانش بنيان تامين مي شود
          • پيام استاندار بوشهر بمناسبت روز حسابدار
          • توليد 95 درصد تجهيزات ثابت صنعت پتروشيمي در کشور
          • شهيد بزرگ‌ترين سرمايه انسان براي دنيا و آخرت است
          • پيام تبريک استاندار گلستان بمناسبت روز حسابدار
          • قهرمانان گيلاني سرمايه‌هاي ارزشمند اجتماعي کشور هستند
          • امسال براي اولين بار بودجه کشور بدون احکام بودجه بررسي خواهد شد
          • مردم ايلام در فصل سرد سال با اهداي خون ياري رسان بيماران باشند
          • اجراي عمليات آسفالت دو روستاي ايوان با اعتبار 65 ميليارد ريال
          • بانک ملت 400 ميليارد ريال براي ايجاد 250 شغل مددجويان کميته امداد اختصاص داد
          • طرح 156 ميلياردي بازيافت ايلام در آستانه اجرا
          • سرمايه‌گذاري 400 ميلياردي در «ديتاسنتر» ايلام

          بانک ملیبانک صادراتانتشار بک لینک
          • رزرو بلیط قطار
          • تور کیش ارزان
          • صرافی توبیت
          • دندانپزشکی
          • اینورتر یاسکاوا
          • اجاره خودرو در استانبول
          خبرگزاری آریا

          «خبرگزاري آريا» يک خبرگزارى رسمي و مستقل ايرانى است با شعار «حرکت شفاف، صادقانه و حرفه اى در اطلاع رساني»

          اشتراک در:

          يکشنبه ۱۶ آذر ۱۴۰۴
          گروه های خبری:
          • سياسي
          • اقتصادی
          • اجتماعی
          • بین الملل
          • تحلیل آریا
          • ورزشی
          • علمی، فرهنگی و هنری
          • استانها
          • پادکست
          • اینفوگرافی
          • گزارش گویا
          گروه آریا:
          • مرکز مطالعات استراتژیک آریا
          • شرکت سرزمین هوشمند آریا
          • انتشارات پیشگامان اندیشه آریا
          © - Arya News Agency
          درباره ما| تماس با ما| RSS| پیوندها| جستجوی پیشرفته